简要回答

台风是热带气旋的一种,一些沿海地区在夏季会比较容易发生台风,那么台风为什么会形成呢?下面就来说说为什么会有台风。
详细内容
详细内容
- 01
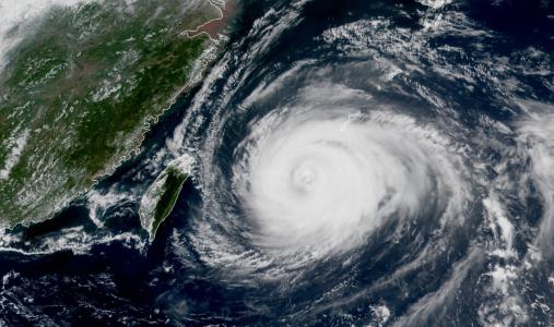
台风发源于热带海面,海水被蒸发到空中,形成低气压中心。随着气压的变化和地球自身的运动,空气逐渐旋转起来形成热带气旋。热带气旋越来越强大,最终形成台风。

- 02
广义上而言,“台风”这个词并非一种热带气旋强度。在台湾、日本等地,将中心持续风速每秒17.2米或以上的热带气旋(包括世界气象组织定义中的热带风暴、强热带风暴和台风)均称台风。在非正式场合,“台风”甚至直接泛指热带气旋本身。当西北太平洋的热带气旋达到热带风暴的强度,区域专责气象中心(RSMC)日本气象厅会对其编号及命名,名称由世界气象组织台风委员会的14个国家和地区提供。

- 03
是一个强大而具破坏力的气旋性漩涡,发展成熟的台风,其底层按辐合气流速度大小分为三个区域:
①外圈,又称为大风区。自台风边缘到涡旋区外缘,半径约200~300km,其主要特点是风速向中心急增,风力可达6级以上;
②中圈,又称涡旋区。从大风区边缘到台风眼壁,半径约在100km,是台风中对流和风、雨最强烈区域,破坏力最大;
③内圈,又称台风眼区。半径约5~30km。多呈圆形,风速迅速减小或静风。
- 04
台风内各种气象要素和天气现象的水平分布可以分为外层区(包括外云带和内云带)、云墙区和台风眼区三个区域;铅直方向可以分为低空流入层(大约在1公里以下)、高空流出层(大致在10公里以上)和中间上升气流层(1公里到10公里附近)三个层次(图1台风结构示意图)。在台风外围的低层,有数支同台风区等压线的螺旋状气流卷入台风区,辐合上升,促使对流云系发展,形成台风外层区的外云带和内云带;相应云系有数条螺旋状雨带。卷入气流越向台风内部旋进,切向风速也越来越大,在离台风中心的一定距离处,气流不再旋进,于是大量的潮湿空气被迫强烈上升,形成环绕中心的高耸云墙,组成云墙的积雨云顶可高达19公里,这就是云墙区。

- 05
台风中最大风速发生在云墙的内侧,最大暴雨发生在云墙区,所以云墙区是最容易形成灾害的狂风暴雨区。当云墙区的上升气流到达高空后,由于气压梯度的减弱,大量空气被迫外抛,形成流出层,而小部分空气向内流入台风中心并下沉,造成晴朗的台风中心,即台风眼区。台风眼半径约在10~70公里之间,平均约25公里。云墙区的潜热释放增温和台风眼区的下沉增温,使台风成为一个暖心的低压系统。

- 06
台风在低层主要是流向低压的流入气流。由于角动量平衡,在内区可产生很强的风速,在高层是反气旋的流出气流。上下层环流之间通过强上升运动联系起来,这是台风环流的主要特征。台风中最暖的温度是由下沉运动造成的,它出现在眼壁内边缘以内,这里有最强的下沉运动。在台风低层最大风速半径处,辐合最强,最大风速值半径的大小随高度变化甚小,并处于眼壁之中。

点击排行
- 2 排行
- 3 排行
- 4 排行
- 5 排行
- 6 排行
- 7 排行
- 8 排行
- 9 排行
- 10 排行


